Details
Object ID 002749
Object Name John Pirie Military Service
Object Desc
Collection Archive Collection
Accession # 2014.8870
Alternate ID
General Category Documents
Category Doc: Official Government
Source Allan Riley
Source Category Gift
Accession Date NOV 27,2014
Credit/Acknowledgement
Location Archive E-copy Only
Object Date
Start Year Range 1914
End Year Range 1918
Status In Collection
Object Keywords
Images
Image Caption Killed In Action Report
Description
Image Caption War Graves Report
Description Burial information
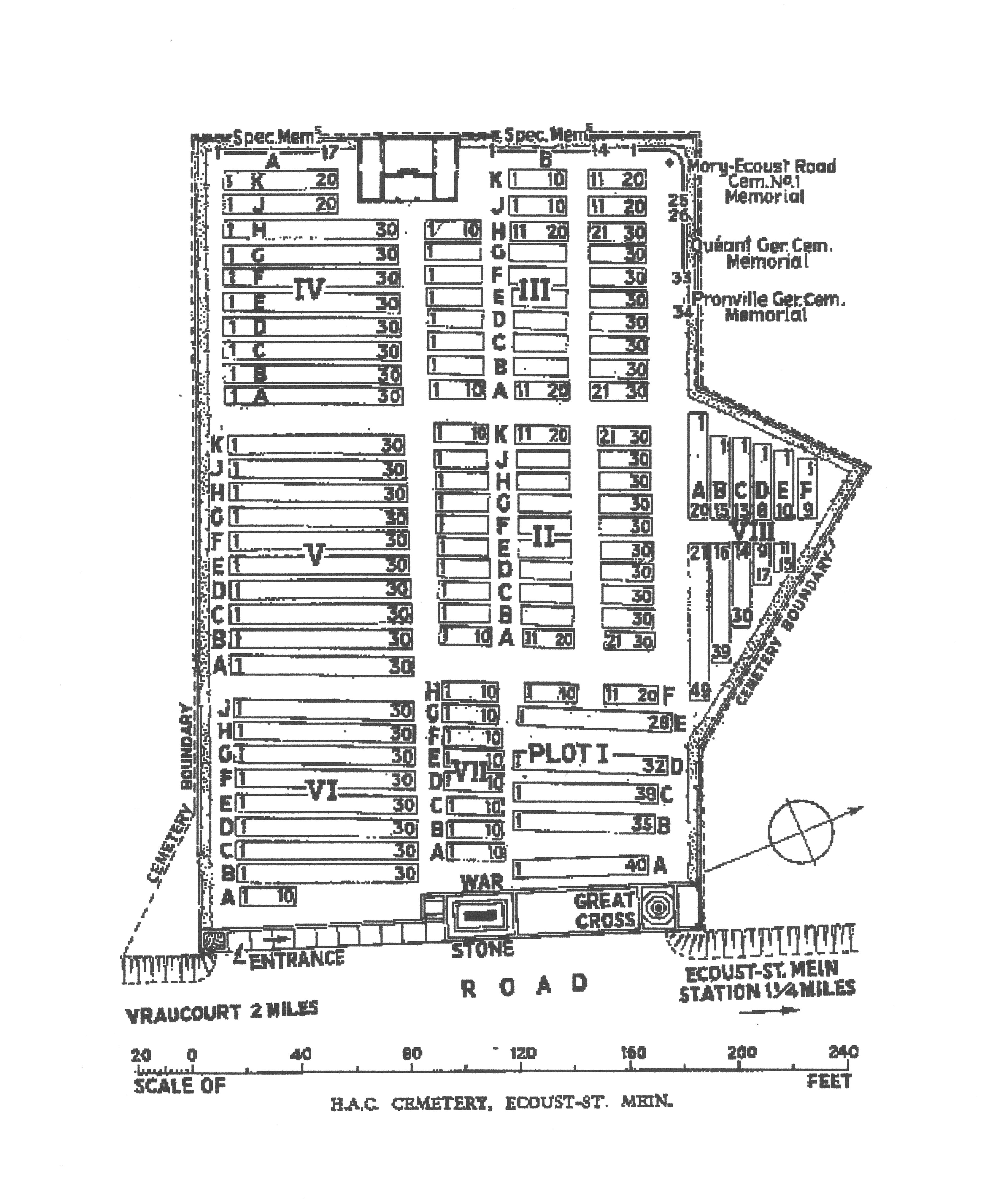
Image Caption Grave Site Map GIFF
Description
Image Caption Burial Site Map JPEG
Description
Conditions
Events
Date NOV 27,2014
Summary Status change
Notes Status changed to In Collection from In Collection - automatic entry by admin
Date NOV 27,2014
Summary Location change
Notes Location changed to Archive E-copy Only from Archive E-copy Only - automatic entry by admin
Appraisals
Provenance
Notes
Date NOV 27,2014
Notes FAMILY TREE INFO RE JOHN PIRIE












